En el Concejo Deliberante se analiza un proyecto para suspender los permisos de obras en un radio de 214 lotes.
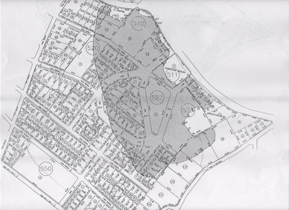
Una resolución de 2006 ya establece una delimitación para las construcciones que abarca a 214 lotes privados, pero no se cumple como debería porque las edificaciones se concretaron y en el último tiempo se evidencia un avance acelerado que advierten riesgoso para los pobladores de la zona, por la afectación de las napas, la calidad del agua, las inundaciones cuando el agua escurre hacia donde puede ante los rellenos de los predios y la vida silvestre.

El tema genera preocupación entre los vecinos y organizaciones ambientalistas que esta semana acudieron al Concejo Deliberante para exhibir distintas aristas de la problemática que generan las construcciones en las inmediaciones del mallín, a propósito del proyecto de ordenanza que impulsa la concejal Julieta Wallace (Incluyendo Bariloche) que establece suspender permisos de obras, mejoras y cualquier otra acción que pueda modificar el medio natural de las parcelas que conforman el mallín del kilómetro 12.
Wallace explicó que en principio la delimitación de la restricción de construcciones sería igual a una resolución que está vigente desde 2006 que establecería una reserva que alcanza a 214 lotes. “Con lo que está ya se puede delimitar y es una acción de cuidado”, advirtió la edil.

En esos lotes hay diversos propietarios: 120 están en manos de una sucesión; 19 de una misma persona; 7 de otra; 5 lotes tienen otro dueño; y 62 de otros, además uno de dominio municipal, explicó la concejal.
El proyecto pretende que el Ejecutivo realice un relevamiento de las obras que se realizaron en estos predios, que serían antirreglamentarias, e iniciar actuaciones para una eventual demolición.
Como primera medida, en la comisión de Turismo y Medio Ambiente, los concejales de todas las fuerzas se pusieron de acuerdo en impulsar el pedido de una inspección municipal en la calle Trenca, que tendría obras particulares ilegales; otro pedido de informes por la subdivisión de una parcela, ya que la Carta Orgánica no permite esa subdivisión; y consultar por la autorización de construcciones de hasta 600 m2 cuando se deberían permitir mucho menos.

“El mallín está todo loteado”, sentenció Wallace quien graficó con al menos tres ejemplos el avance de construcciones, lotes alambrados que tiempo atrás no estaban, y conexiones de agua y pilares de electricidad, que “demuestran que han hecho tratativas y hay claramente un relleno y un movimiento del cauce del agua”.
El proyecto seguirá su tratamiento el lunes en otra comisión legislativa, la de Obras y Servicios